Opis nieruchomości
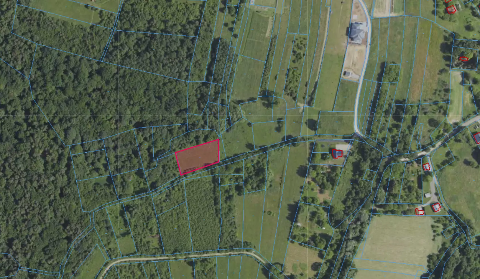
Nieruchomości zlokalizowane w dzielnicy Kruhel Wielki w Przemyślu stanowią atrakcyjny portfel gruntów o charakterze inwestycyjnym i rekreacyjnym. Główne atuty to lokalizacja (cisza, zieleń, bliskość miasta), uregulowany stan prawny oraz brak obciążeń. Większość działek nie posiada obecnie uzbrojenia ani warunków zabudowy, jednak dostęp do mediów znajduje się w niedalekiej odległości, co zwiększa potencjał inwestycyjny w kontekście przyszłego zagospodarowania terenu (plan ogólny w trakcie opracowania). W najbliższym otoczeniu znajdują się: • park wodny, basen • boisko sportowe Polonia • sklepy, szkoła • tereny rekreacyjne, lasy oraz drogi rowerowe Lokalizacja łączy w sobie ciszę, spokój oraz bliskość infrastruktury miejskiej, co czyni ją atrakcyjną zarówno pod inwestycję, jak i przyszłą zabudowę. Wszystkie nieruchomości: • są wolne od wpisów i obciążeń w księgach wieczystych • nie są zajęte ani zadłużone • posiadają uregulowany stan prawny • brak warunków zabudowy (WZ) • plan ogólny dla obszaru jest w trakcie opracowania OGŁOSZENIA POSZCZEGÓLNYCH DZIAŁEK: 📍 DZIAŁKA NR 24 – Kruhel Wielki Powierzchnia: 1764 m² Klasa gruntu: RIVa Działka położona w spokojnej i zielonej okolicy. Teren lekko nachylony, co daje możliwości aranżacyjne oraz walory widokowe. Dojazd: • od ul. Grabowej • możliwy również od strony ul. Klonowej (wymaga uporządkowania zarośli) • dodatkowy dojazd drogą polną od strony Kruhela Wielkiego Media: brak WZ: brak Idealna propozycja dla osób szukających działki rekreacyjnej lub inwestycyjnej w cichej okolicy. 📍 DZIAŁKA NR 198 – Kruhel Wielki Powierzchnia: 1950 m² Klasa gruntu: RIVa Działka płaska, o bardzo dobrych parametrach. Dojazd: • droga polna • w sąsiedztwie zabudowa mieszkaniowa Atuty: • przez działkę przebiega gaz • w pobliżu dostęp do prądu i wody Media: częściowo w pobliżu WZ: brak Dobra inwestycja pod przyszłą zabudowę. 📍 DZIAŁKI NR 143 + 134 – SPRZEDAŻ ŁĄCZNA Powierzchnia: • działka 143: ok. 1375 m² (Lzr-RIIIa / RIIIa) • działka 134: 2349 m² (RIIIb) Działki sprzedawane wyłącznie razem – tworzą atrakcyjny teren inwestycyjny. Atuty: • bezpośredni dojazd drogą główną • bardzo dobra lokalizacja • piękny widok na panoramę Przemyśl Media: • brak na działce • bardzo blisko dostęp do podłączenia Teren płaski, idealny pod inwestycję lub przyszłą zabudowę. 📍 DZIAŁKI NR 600 + 594 – ul. Łowiecka Powierzchnia: • 600: 975 m² (Lzr-RIIIb) • 594: 502 m² (Lzr-PsIV) Działki sprzedawane razem. Atuty: • spokojna okolica • teren częściowo zakrzewiony (w trakcie porządkowania) Dojazd: • droga polna, nieutwardzona Media: • brak na działce • dostęp w niedalekiej odległości Dobra opcja inwestycyjna w rozwijającej się okolicy. 📍 DZIAŁKA NR 602 – ul. Łowiecka Powierzchnia: 1174 m² Klasa: RIIIa Działka równa, płaska, o regularnym kształcie. Dojazd: • droga utwardzona (kamień) Media: • brak bezpośrednio • dostęp w pobliżu Teren bardzo dobrze nadający się pod przyszłą zabudowę. 📍 DZIAŁKA NR 651 – Kruhel Wielki Powierzchnia: • 850 m² (RIIIb) • 259 m² (RIVa) Łącznie: ok. 1109 m² Działka: • płaska • w kształcie prostokąta • posiada bezpośredni dojazd drogą Media: brak danych / w pobliżu WZ: brak Atrakcyjna działka o regularnym kształcie – łatwa do zagospodarowania. Część działek wymaga uporządkowania (zakrzewienia), natomiast nie stanowi to istotnej przeszkody inwestycyjnej. 💰 Cena: Cena działki ustalana indywidualnie w przedziale 42–48 zł/m². Możliwość zakupu większego pakietu działek: Przy zakupie całości (wszystkich oferowanych nieruchomości) cena łączna wynosi od 400 000 zł do 450 000 zł – do negocjacji.